
LELAND — Leland Town Council approved $400,000 in economic development incentives for Buster Development LLC to develop a 123-unit townhouse project off Highway 17.
Nearly 29 acres owned by Buster Development LLC was voluntarily annexed into town limits, zoned, and is now eligible to receive incentives according to an economic development approved at a Leland Council meeting Thursday.
Related: Hundreds of acres to be developed outside Leland limits as sewer moratorium continues
The project, located off the north side of Highway 17, will be built directly across from Hawthorne Waterside, a 708-unit apartment project currently underway. In February, Leland approved an economic development agreement that would grant Hawthorne Waterside LLC $525,000 in incentives upon full build-out.
Buster Development LLC
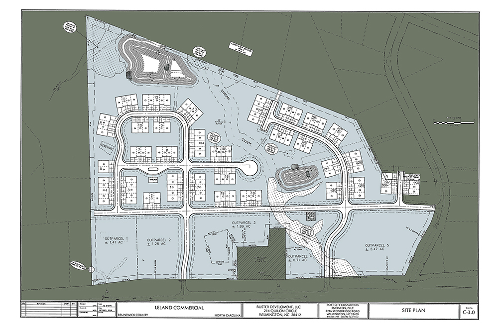
Newly-annexed property totaling six parcels will be subdivided into two tracts: a 9.7-acre commercial tract with highway frontage and a 19.1-acre residential tract set aside for the townhouse development.
Leland will pay Buster Development LLC $400,000 from its System Development Fees (fees paid by developers — not taxpayers) to be applied to the developer’s cost of installing sewer system improvements. The town will release the funds upon completion, dedication, and acceptance of the sewer utilities to Leland alongside street and stormwater improvements (this can happen prior to townhomes being completed).
The residential portion of the property is now zoned R-6 medium density and the commercial tract is C-1 general commercial.
When built-out, the residential project will bring an estimated $92,672 in property tax and $60,000 in added sales tax each year to the town. Also, Leland expects $611,000 in system development fees based on the 123-units and 308 bedrooms, according to town documents.
Utilities
Water will be provided by Brunswick Regional Water and Sewer H2GO.
Sewer will be provided by the town, either through a connection point to H2GO’s existing network or by means of a new connection to a town-installed force main under Highway 17, according to the agreement.
Steve Shuttleworth, a member of Buster Development, said in an interview with Port City Daily that sewer service prompted his decision to work with the Town of Leland. Shuttleworth previously had the project’s preliminary site plan approved by Brunswick County’s Planning Board in October 2018 but later petitioned to have the property annexed into the town in June.
“We were quite content being in Brunswick County,” Shuttleworth said. “Six or seven months ago when issues started to arise between H2GO, Leland and the county, it became a much simpler task obtaining sewer with Leland.”
With major utility ownership stakes being worked out, Shuttleworth said the H2GO lawsuit prompted his team to approach the project from a new angle. “When that percolated back up, at that point, the question is, who can provide us sewer? We did have to take a step back.”
Tuesday, Leland released a joint statement on behalf of northern Brunswick County governments announcing a basic agreement had been reached. A portion of the brief concepts shared includes the stipulation Leland hand over its utility lines to H2GO.
A forthcoming interlocal agreement would likely address utility ownership confusions, but it’s not clear at this point exactly what it will entail.
Shuttleworth said the highway-facing commercial land will be included in the project’s second phase of development. “We’ll end up holing that commercial and developing that slowly over the next couple of years,” he said. “At the end of the day, the growth pattern for Leland — it made sense as a business decision for us.”

Send tips and comments to Johanna Ferebee at johanna@localvoicemedia.com

