
BRUNSWICK COUNTY — Property owners of International Logistics Park off Highway 74 are clearing a portion of land and submitting site plans to the county, hoping to soon catch the eye of a prospective industrial firm.
Brunswick County Planning Board approved preliminary site plans for a 96-acre portion of the nearly 400-acre parcel Monday. The entire International Logistics Park is 1,040 acres. Across the highway, the 1,110-acre Mid-Atlatlantic Industrial Rail Park borders the Columbus County line and has access to the CSX rail line.
Related: Brunswick applies for grant funding to offset infrastructure investment at empty industrial parks
The preliminary site plan approval does not mean an active client is waiting to move in. It does, however, mark the furthest along a site between the two industrial parks has made it in recent years.
Utilities on site
Brunswick County has recently made significant investments to ensure both International Logistics and the Mid-Atlatlantic Industrial Rail Park are served by public utilities.
The county is currently awaiting word from the U.S. Economic Development Administration to learn whether it will be awarded a grant to get water to serve the two parks. If approved, Brunswick County would pitch in $899,030, covering 20% of the total $4.49 million project cost.
Last January, the county spent $122,400 to cover design work to extend its 16-inch water force main 2.2 miles west down Highway 17 to reach the parks. A half-million-gallon water tower is planned to ensure adequate water pressure at the sites, with the county awarding a $185,479 design contract in August 2019.
Getting utilities to the parks has been one of Bill Early’s top priorities as Brunswick Business & Industry Development’s (BBID) executive director. After hearing Early’s position, Brunswick County sped up planning and funding for the water line extension, budgeting $1.4 million for the project in the 2019-2020 Captial Improvement Plan.
“I have a goal of having water and sewer and fiber to those sites by year-end,” Early said.
Marketing
Requests for information, or simply companies inquiring as to what commercial properties are available, were down statewide during the last quarter of the year, according to Early. But January and February have been strong this year, he said, and getting the portion of International Logistics preliminary site approval helps put stakeholders in a stronger position.
“What they’re trying to do is to try to create an image and visual for companies — we can show them that first tract. It’s just part of the master plan,” he said.
Inquiring industrial firms are looking for large, empty industrial buildings that are move-in ready, or land with permits in hand to make the construction process go smoothly.
“So many of these industrial firms look for quick turnaround,” Early said. “We’re trying to get everything in place to minimize any potential delays that a company would experience. It’s part of us building a better product to market.”
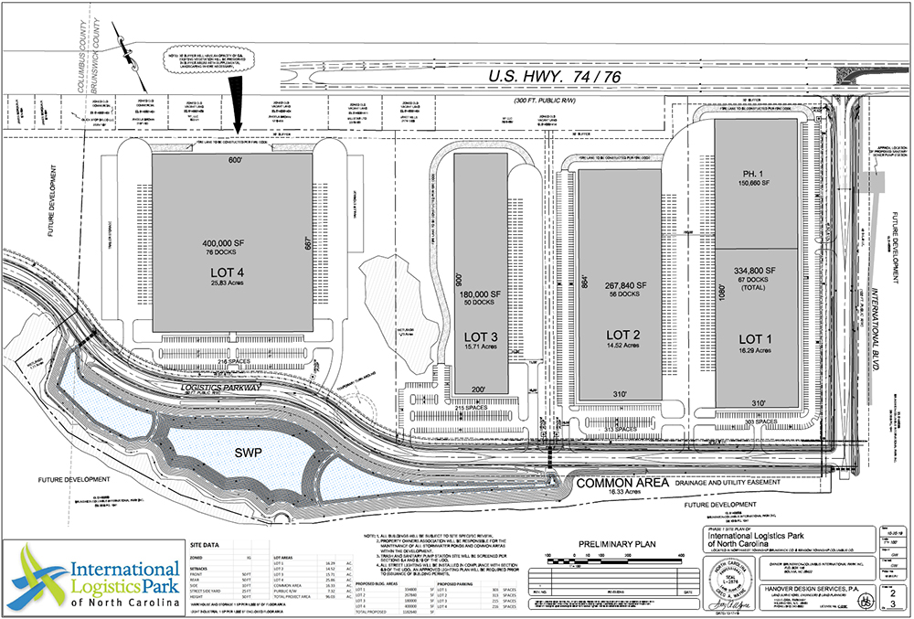
The preliminary site plan features four lots and four different types of buildings totaling more than 1 million square feet and more than 1,000 parking spaces. This is all conceptual and subject to change, depending on what future clients’ needs may be.
Bryan Greene, broker with Cameron Property Management, said the recent work is simply the firm doing its part to get the property ready for an industrial client. With Brunswick County, Columbus County, BBID, and Columbus County Economic Development Commission as partners, Greene said industrial recruitment is a team effort.
“Hopefully we’re close. From my view, the county has done a fantastic job,” Greene said, referencing Brunswick County’s investment in utilities. “Where we are now is that it seems like it’s a good time to make some further progress in hopes that we can have a viable site there. And we think we do.”

Send tips and comments to Johanna Ferebee Still at [email protected]

