
BRUNSWICK COUNTY — Two proposed subdivisions, soon to be discussed at a Brunswick County Planning Board meeting, would bring just over 500 single-family lots to the county’s southwestern region, along the borderlands that separate the Carolinas.
At a previous meeting, the board recommended for approval a separate subdivision in the same general area.
READ MORE: 40-acre Brunswick County subdivision gets initial green light
All three projects brought onboard members of the same firm, Norris & Tunstall Consulting Engineers P.C., to navigate the applications through the required government channels.
One project scheduled for consideration at the board’s upcoming Apr. 12 meeting is located on land owned by at least three members of the Norris family, who declined to comment for this article. Phil Norris, one of the landowners and a principal of the firm, is listed as the applicant’s representative.
Both upcoming projects seek a rezoning to “Planned Development,” and together comprise 158 acres of Brunswick County land. Planning staff urged Norris in both cases to “consider constructing the stormwater system to a higher extent than the minimum,” according to staff notes. “This area of the Caw Caw Canal historically has had issues with flooding.”
Both developments stated the intention of providing infrastructure to handle a 100-year storm, as opposed to the minimum: a 10-year storm.
“We are well aware of the issues in that area,” senior county planner Marc Pagès said. “We have been very successful in basically telling them that it’s going to look a lot better to the planning board if you over-engineer your stormwater.”
Pagès added that development applications have been on the rise. “We’re seeing a huge uptick,” he said.
While two subdivisions are on the docket this month, he said the next meeting will be even more crowded.
“Next month we’re going to have six,” he said, totaling thousands of proposed lots.
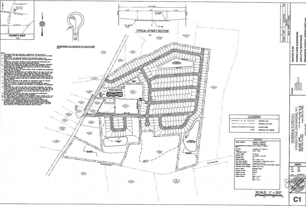
Norris Farm

The Norris family owns a handful of parcels along Ash Little River Road, a mile west of Brunswick Plantation Resort and Golf. Formerly a longtime Brunswick County commissioner, Phil Norris worked for six years with the U.S. Army Corps of Engineers before joining a private sector firm.
“Phil is also experienced in military planning and project development,” according to the company website, “having been heavily involved in the preparation of the Mobilization Master Plan for Fort Bragg, North Carolina and Installation Support books for Fort Bragg and the Military Ocean Terminal, Sunny Point.”
The Norris family applied to conglomerate a number of parcels into a planned development called “Norris Farms.” Slated for 304 single-family lots on 108.57 acres, the project’s average lot size would be 6,200 square feet.
Norris Farms is expected to generate 2,909 vehicle trips per weekday, and the developers proposed a higher volume of open space and recreation space than required. Reached via an office receptionist and on a personal cellphone, members of the family declined to comment.
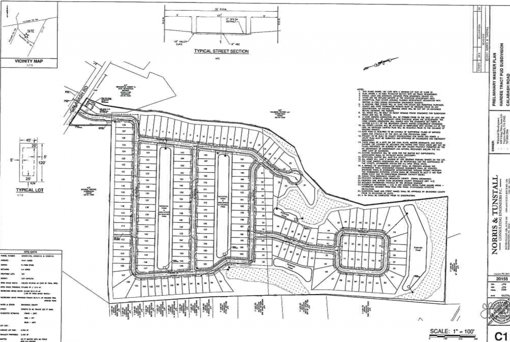
Hardee Tract

“I know absolutely nothing about what they’re going to do,” said Kendall Hardee, who owns 50 acres of Brunswick County land 2 miles south of the Norris territory. Developers hope to transform into a single-family subdivision.
“It’s under contract,” he added.
The parcels are family land purchased decades ago by Hardee’s father. The opportunity came along to sell the acreage for a worthwhile price, and Hardee decided it was time to part with it, he said.
Project plans submitted to Brunswick County list Virginia Beach-based Wakefield Development as the owner. The company’s portfolio spans from Virginia to South Carolina.
On the 49.61 acres, developers hope to place 197 single-family lots, leading to an overall density of 3.97 dwelling units per acre. The average lot size will be 6,700 square feet, while the smallest lot will be 5,400 square feet, according to planning staff notes.
Like the other project, the Norris firm is the representative, and volumes of open and recreation space that exceed the minimums have been proposed.
The packet for the upcoming Brunswick County Planning Board meeting can be accessed here.
Send tips and comments to [email protected]
Want to read more from PCD? Subscribe now and then sign up for our morning newsletter, Wilmington Wire, and get the headlines delivered to your inbox.

