
WILMINGTON — There’s no question Wilmington will continue to see growth, but there are questions surrounding how it will play out. Commercial development on Oleander Drive is on the rise and so is the presence of impervious surface area — that’s hard surfaced area that doesn’t allow water to absorb into the ground; impervious surfaces generate runoff, which can cause other issues.
What regulatory steps are in place to direct how groups aim to move into — and capitalize on — the land that’s left?
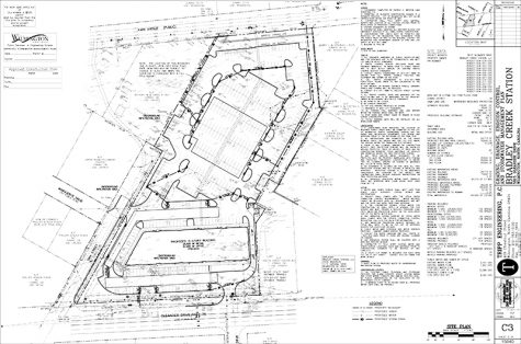
Bradley Creek Station
Bradley Creek Station, a development engineered by Tripp Engineering, is pending approval for 76,500 square feet of retail and office space on 5815 Oleander Drive.
Adjacent to Dairy Queen on Oleander, the nearly six-acre development was proposed with an impervious surface area of 193,265 square feet.
That’s more than 75 percent of the entire development, in a protected watershed area that drains into Bradley Creek and has been on the city’s radar for over a decade.
Several commercial developments in recent years on Oleander Drive have introduced new businesses, which inevitably brings additional impervious surface area to the watershed. Here’s a few:
- Paws & Claws, an animal hospital facing Oleander that opened this summer, added 8,795 square feet of impervious surface area, with a total of 25,170 square feet impervious surface area at 39 percent of the total property.
- Wells Insurance Group, a development under review at 5712 Oleander Drive proposed 20,955 square feet of impervious surface area, 64 percent of the total property, in its sixth proposal.
- H2 Turbo Express Car Wash has added 37,479 square feet impervious surface area, 57 percent of the total property at 5520 Oleander Drive.
- Oleander Storage II introduced 75,764 square feet impervious surface area, 49 percent of the total property at 5122 Oleander Drive.
Impervious surface area
There are ordinances in place to protect impaired watersheds – with caveats.
“Impervious surface coverage in Watershed Resource Protection areas shall be limited to 25 percent unless they are exceptionally designed projects” the city’s Development Review Checklist states.

(Port City Daily photo / COURTESY OF M. HAYES, WILMINGTON STORMWATER SERVICES)
The maximum impervious surface coverage allowed, with points earned by submitting an exceptional design narrative, is 75 percent.
The city’s own policy plan points to preserving watershed quality. As impervious surface area increases, so does the strain on the waterways.
“Water quality in streams, lakes, and wetlands is negatively impacted when impervious surface coverage in a watershed exceeds just 10 percent,” according to research cited in the city’s 2016 comprehensive plan.
By the time total impervious surface coverage reaches 25 percent, the plan states “waterways are typically no longer able to support healthy aquatic systems.”
At the time the plan was published in 2016, Wilmington was estimated to have approximately 28 percent impervious surface coverage.
Parking lots, streets, sidewalks and building footprints are major contributors to impervious surface coverage. However, there are means of developing land with pervious, rather than impervious, pavement.
Projects and points
In its first proposal, Tripp Engineering submitted a design with 75.3 percent impervious coverage. Senior planner Brian Chambers says that, while a 75 percent impervious surface proposal is not unusual, it’s tough to swing.
“I’ve seen it before, I don’t see it a lot,” Chambers said. “Most people don’t try to push the envelope because they can’t get the points to do it.”
Projects can earn “points,” which translate into exemptions, if they fit an “exceptional design narrative” according to Chambers. Points are earned by utilizing exceptional stormwater design features and landscaping to buffer runoff.
“They might have to scale back (on impervious surfaces) because they may not be able to get the points,” Chambers said. “Going 75 percent is not something you see on every project.”
A back and forth process of review with city staff is always anticipated with new projects, according to developer Steve Anderson.
“The technical review committee is a great way to do it,” he said. “It gets us all in one room at one time. We hear from every representative from the city.”
The project is currently under review and must be amended in order to meet standing codes before development begins.
Pining for smart growth
Anderson, developer of Bradley Creek Station, has worked to develop the Offices at Mayfaire for the past six years, says physically developing land is not something he’s worked in before.
For his previous projects, he just purchased the dirt from the original Mayfaire developers.
“Coming in on a really truly redeveloped lot is something that we haven’t done much of,” Anderson said.
In Anderson’s experience with the Offices at Mayfaire and with Bradley Creek Station, the medical sector is a group he has worked closely with to bring services closer to those communities.
“We certainly want to be sensitive to neighbors needs, buffers, tree protection, and also want to pay close attention to the kind of services we bring to those developments,” he said.
“Absolutely, we plan to reduce impervious (surface area),” he said.
As a developer, his function is visionary, whereas the specific regulatory expertise falls on architects, city staff and engineers.
“I totally lead back to the engineering department, that’s why I hired them and have them work very closely with the city staff to make sure we’re doing everything we can possibly do,” he said.
As Oleander continues to see more commercial development, Anderson’s goal is to remain respectful of the environment and community.
“I was born here. It is extremely important to me that we see smart growth here in Wilmington,” he said. “This is home. I’ve never left.”
“It’s important to me that our group does all we can to make sure we have a successful project, but make sure our goal is to not only meet but exceed anywhere we can on these points,” Anderson said.
Research on the watershed
Dr. Mike Mallin, UNCW research professor and the city’s leading contact on water quality issues, has studied issues facing the Cape Fear region’s natural resources for over a decade.

Last month, Mallin’s team produced preliminary research, finding large impervious areas may lead to increased nutrient loads in the Greenfield Lake watershed. Greenfield Lake has been considered an impaired body of water since 2014.
In UNCW’s 2014 environmental watershed quality report of the Bradley Creek watershed, John. D. Barker II found that Bradley Creek has the “highest levels of pollution throughout the county.”
“Sewage leaks and runoff from rainfall events are ways in which pollutants, such as fecal pollution, can be introduced into an estuarine system from urbanized areas,” Barker wrote.
The report states that increased development caused Bradley Creek’s status as the leading polluted system.
“Urban development around Bradley Creek encroaches onto the area surrounding the watershed, increasing the likelihood of introducing pollutants into the estuarine system,” he wrote.
What about the trees?
Though Bradley Creek Station is still in its preliminary phase of approval, as currently proposed, it would require the removal of trees considered to be “regulated” and “significant” according to city code.
“They have not submitted a tree removal permit,” Chambers said. Referencing a 40-inch diameter oak tree off Oleander Drive, Chambers hopes the developers would design around some of the larger trees.
“We’d like to see them try to design the building around the trees,” he said. “I’m not sure that’s possible given the building design they have in mind.”
City code states “every reasonable effort shall be made to protect and retain existing trees.”
Trees considered “significant” by the city include: Hardwood, longleaf pine, pocosin pine, black pine, and non-pine conifer trees at least 24 inches in diameter, all other pines at least 32 inches in diameter, dogwoods, magnolias, American hollies and other ornamental flowering trees at least eight inches in diameter.
“Regulated and protected” trees are smaller in diameter than “significant” trees. Both classifications are required to be “mitigated” if a developer believes the trees must be removed in order to achieve “essential site improvements”, the code states.
Mitigation, as the city outlines, is the act of replacing standing trees with a particular species or number of trees.
“We always encourage developers to make changes to save trees,” Chambers said.
However, if developers can work within – or around – the code, there’s no legal reason to stop them from altering land they own.
“My job is to apply the codes as written,” Chambers said. “I’m going to apply the code consistently regardless of who submits it.”
“We’re just making recommendations,” he said. “We don’t have the discretion to say, ‘We don’t like it.’”
Developable land
Development and the preservation of green space is a topic the public and city officials have remained invested in. It was a major point of conversation in this year’s election, it has caused a number of public interest meetings and is largely covered in the city’s comprehensive plan.

Wilmington’s growth strategies report found “there are approximately 5,800 acres of potentially redevelopable land and 3,700 acres of potentially buildable vacant land in the city.”
The comprehensive plan stresses that conscientious growth is an environmental and public priority.
“Managing growth in ways that respect ecological systems should be a primary goal for Wilmington and an accurate analysis of the natural and built landscapes is critical,” the plan states.
Public protection
Though the public can’t directly approve of growth decisions, they are able to indirectly influence those with a seat at the table.
This summer, developers of Publix conceded to public opinion and preservation groups after two years when they agreed to save the Ogden Oak, initially proposed to be removed because it posed an “insurance risk” to developers.
Residents have asked to stop the “removal of green spaces and wooded areas” and believe “more trees everywhere are needed” after three years of steering committee meetings, public hearings, and data analysis conducted by the city, starting in 2013.
A Jane Jacobs quote rests atop a black and white image of an expansive, barren parking lot with K-Mart in the background of the growth strategies report.
“Dull, inert cities, it is true, do contain the seeds of their own destruction and little else,” it states.
“We’ve got a developed city, we want to protect what we have left,” Chambers said.
Johanna Ferebee can be reached at [email protected] or @j__ferebee on Twitter

