
WILMINGTON — In February, the planning commission will have no proposed developments to weigh in on; the only public hearing on next week’s agenda involves the closure of a tiny alleyway off Wrightsville Avenue.
According to the city’s website, two proposals, both backed by prominent development companies, are currently in the pipeline. In both cases the applications were filed months ago but have yet to appear on planning board agendas. That’s because staff awaits additional information from the applicants to confirm the site plans comply with city development regulations, according to interim planning director Ron Satterfield.
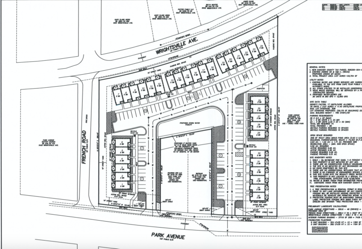
On Wrightsville Avenue, a few blocks from New Hanover Regional Medical Center’s Orthopedic Hospital, there is a 3-acre, U-shaped lot that has been owned by the same limited liability company, affiliated with a local real estate agent, since 2004.
Agents of the Zimmer Developer Company, aided by real estate attorney Matt Nichols, filed a rezoning application last September to allow the lot to be built out as a 35-unit multi-family complex.
“A medium density townhome community in this location is a higher and better use of the property than the current use (vacant land),” according to the application. “The proposed project will be a benefit to the community in providing middle housing opportunities.”
The application notes the city has “emphasized the importance of addressing the need for additional middle housing,” adding that its 2016 comprehensive plan called for “efficient use of land, diversity of housing options and context sensitive infill development.” Nearby the Wrightsville Avenue site, there are bus stops, mixed-use centers and a grocery store; planners often strive for walkability when considering relatively dense, infill development proposals like this one.
“In addition to increasing the availability of housing and variety of housing types, one of the City’s main land use and planning goals is to decrease the number of distance of automobile trips throughout the City,” according to the application. “This project promotes these goals by creating new multi-family residential units on infill property, with high quality architecture and site planning, close to mixed-use centers, roads and services and public transportation options.”
The second project in the city’s pipeline is just north of Mayfaire off Military Cutoff Road. The Trask family has historically owned a bevy of land there, and back in May 2021, the Trask Land Company filed a rezoning application pertaining to 4 acres nestled between retail and a neighborhood.
The parcel is part of a much larger tract of woods between Military Cutoff and Landfall. The zoning for the site currently allows for residential development, but according to the Trask application, “construction of single family on this parcel at this location is not practical.” The company’s hope is to have the property rezoned to a business zoning — giving them license to build 10,000 square feet of office space, 5,000 square feet of retail and 5,000 square feet of restaurant space.
“The uses proposed generate minimal traffic impact to the adjacent Military Cutoff Road,” according to the application. The proposed development would serve “as the most northern commercial, retail, and office uses along the eastern side of Military Cutoff Road.”
Both application packages, despite having been submitted months ago, have not been reviewed fully by staff and have not been officially placed on the agenda for a future planning board meeting.
The planning board, which vets development requests that require city council approval, meets the first Wednesday of each month, at 6 p.m. in city council chambers downtown.
Send tips and comments to info@portcitydaily.com

