
BRUNSWICK COUNTY — The expansive, vacant tracts of land spread across Brunswick County have garnered steady interest from developers in recent months. It’s become common to see at least four large-scale projects get proposed each month in a range of locations: the western reaches of the county that border South Carolina, the vast interior through which Highway 17 flows, and the northeastern corner marked by Leland.
This week four major projects faced the county’s planning board. The group is responsible for approving or denying development proposals through the lens of county government, but its sign-off does not immediately give license to construct. After planning board approval, other requirements — like procuring state-level permits — still remain and people with standing can appeal a planning board decision to the board of commissioners.
The four projects considered at the Sept. 13 meeting, like many major development proposals seen recently in Brunswick County, applied for “planned development” zoning. This tag requires the submission of a comprehensive site plan, which the county can influence and must approve, after the planning board says yes to a project.
Two of the projects are in the area currently being studied by the N.C. Department of Transportation for an interstate project alongside the department’s South Carolina counterpart. The Carolina Bays Parkway project would connect a state road in S.C. to Highway 17 in Brunswick County; the boost in interconnectivity is designed to temper the traffic congestion around Myrtle Beach.
Three of the proposed planned developments are clustered near the county’s southwestern border, while the other is just outside Bolivia in the middle of the county.
Two projects were approved, one was denied, and one was pulled from the agenda by the applicant. Here’s a look at the four projects proposed in Brunswick County this week:

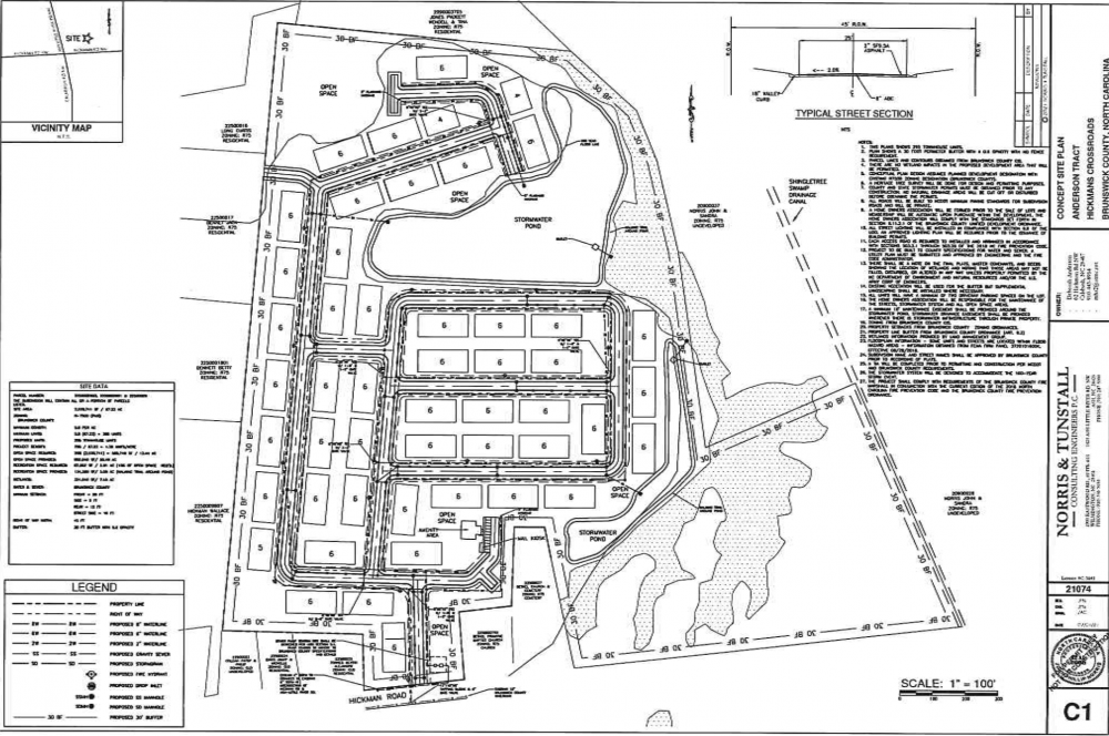
Anderson Tract
Specs: 295 townhome units; 67 total acres
Location: The intersection of Hickman Road / Ash-Little River Road; 1 mile west of county’s southwestern border with S.C.
Owner: Deborah Anderson
Applicant: Norris & Tunstall Consulting Engineers, P.C.
Fast Facts: The Anderson Tract, named for the family of its current owner, was pulled from last month’s agenda but returned this week. Stationed close to the S.C. border along a major roadway, this project is within NCDOT’s study area for the Carolina Bays Parkway extension. The potential benefits of building a major residential project in close proximity to the high-profile road extension appear to be contributing to the clustered interest in the county’s western reaches, even though a final route has not been selected.
Result: Approved

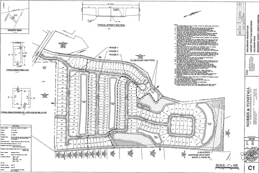
Hardee Tract
Specs: 146 single-family lots; 54 “semi-attached units”; 50 total acres
Location: 544 Calabash Road; 1 mile south of the Anderson Tract; just outside Carolina Shores
Owner: Stepping Stone NC, LLC
Applicant: Norris & Tunstall Consulting Engineers, P.C.
Fast Facts: The Hardee Tract, named for the family of the previous owner, was sold in June to a limited liability company with offices in Virginia Beach, V.A. The project was originally approved in April, before the sale, but now the developers are hoping to boost their density; they want to build 51 fewer single-family homes than originally planned, and add 54 multi-family units to the site.
Result: Approved

Middle Creek Village
Specs: 470 single-family lots; 120 duplexes; 153 townhomes; 260 total acres
Location: Interior Brunswick County, 1 mile west of Bolivia; south of Highway 17, north of Old Ocean Highway (Highway 17B)
Owner: Sawyer Rivers Farms, LLC
Applicant: H&W Design
Fast Facts: The limited liability company that purchased this land earlier this year lists its offices in Wilmington, but information on the entity is otherwise limited. This is the only project on this month’s planning board agenda that isn’t located in the county’s western region. The developer pledged to include 139 acres of open space in the project, far over the minimum required amount of 52 acres. To its north and south, this project would be enclosed by two major thoroughfares that cut east-west through Brunswick County.
Result: Denied

Calabash Apartments
Specs: 312 multi-family units; 55 total acres
Location: Southwest of the connection between Highway 17 and Hickman Road; right where the highway turns south, toward S.C.
Owner: Delana Holden
Applicant: HH Multi, LLC
Fast Facts: This proposal is a quick drive east from the other two projects intended to move into the western corner of Brunswick County. It is within the study area of the Carolina Bays Parkway project. According to planning staff review, “This area lies within the Caw Caw and Shingletree Canal system which is highly susceptible to flooding.”
Result: Pulled from the agenda by the applicant (can now either be resubmitted or fully withdrawn).
Read the full Sept. 13 planning board agenda, with more information about these projects and others: here
Send tips, comments and criticisms to preston@localdailymedia.com

